
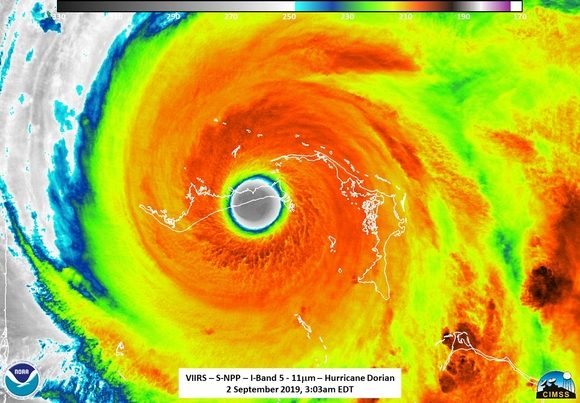
En los años que llevo como ciclonero, no recuerdo otro huracán de gran intensidad que se haya estacionado tanto tiempo sobre una misma zona. En verdad, Dorian quedó atrapado en débiles corrientes directrices entre dorsales de altas presiones al este y noroeste y una vaguada al norte. Gran Bahama, una isla habitada por decenas de miles de personas, ha sido devastada.
Los expertos anticipan que el núcleo de la bestial tormenta continuará afectando la mencionada isla. El huracán se moverá peligrosamente cerca de la península de la Florida durante martes y miércoles. En Georgia, Carolina del Sur y Carolina del Norte lo vigilan con detenimiento.

1) El más potente ciclón que tocado tierra en Bahamas desde que se llevan registros.
2) Primer huracán de categoría 5 conocido que impacta en las islas Ábaco y Gran Bahama. Este último territorio está siendo vapuleado desde el domingo.
3) El huracán Allen (1980) tuvo vientos máximos sostenidos de 305 kilómetros por hora; por ello encabeza la lista de los ciclones tropicales más fuertes del Atlántico norte desde 1950. Resulta que Dorian se ha colado en el segundo puesto de ese ranquin, empatando con Gilbert (1988) y Wilma (2005), ya que el primero de septiembre sus vientos alcanzaron una velocidad de 295 kilómetros por hora. Además, Dorian figura entre los quince ciclones más poderosos a nivel mundial.
4) Con respecto a su valor de presión mínimo (910 hPa), integra la relación de los diez huracanes más intensos desde 1980. El primer lugar lo ocupa Wilma (882 hPa).
5) Ya son cuatro los años consecutivos con al menos un huracán de categoría 5 en la cuenca atlántica: 2016 (Matthew); 2017 (Irma y María); 2018 (Michael); 2019 (Dorian).
